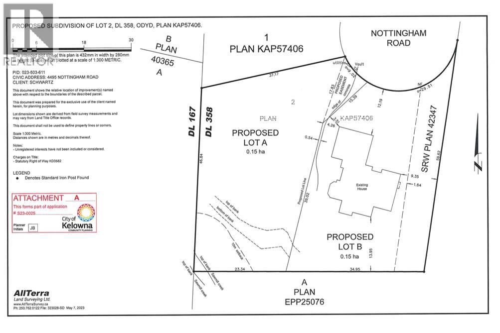
4495 Nottingham Road Lot# 2

Awarded “Best Urban Forest” in Kelowna for 2025, this proposed 0.37-acre lot offers a rare opportunity to build in the heart of the Lower Mission. Set on a quiet cul-de-sac and surrounded by mature trees, this future homesite blends natural beauty with urban convenience. RU1 zoning allows for up to 4 dwelling units (with City approval), and the site may support a walkout design. Sawmill Creek borders the south boundary, adding privacy and charm. Just a short walk to Sarsons Beach, DeHart Park, H2O Centre, top-rated schools, and local shops. Subdivision is in progress and the lot is being sold subject to final registration. PLR and DCCs are based on a single-family home. Higher density may trigger additional fees and servicing costs. The current owner will finalize the subdivision and arrange servicing. This is a unique chance to build in one of Kelowna’s most established and desirable neighborhoods. (id:58842)

Property Information

Property Type
Commercial
SqUARE FOOTAGE
0
 sqft
Structure Type
Other
LAND SIZE
0.37 acres
Roof Type
Lot
SEWER Type
Parking Spots
0
stories
Floor Type

More Information

Security
View
Parking
Exterior
Community
Common inTEREST
Freehold
Listing Key
29504161
MLS ID
10380376
listing Office
Royal LePage Kelowna
listing Office key
47748
0
Beds
0
Baths
$
1250000

Virtual Tour

Map

Map

can help you buy this property.

Thank you! Your submission has been received!
Oops! Something went wrong while submitting the form.

Patrick Klassen

can help you buy this property.

Thank you! Your submission has been received!
Oops! Something went wrong while submitting the form.