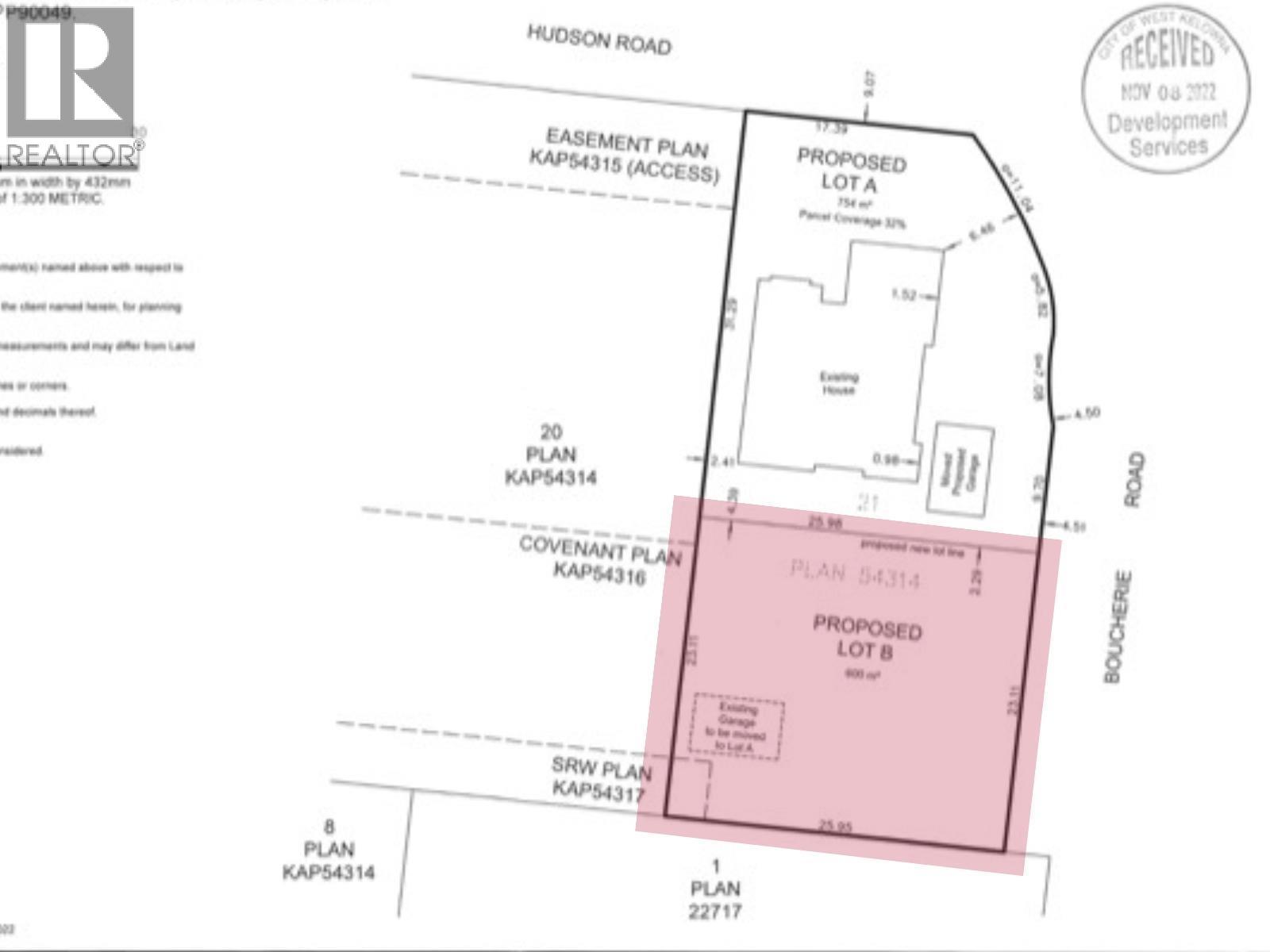
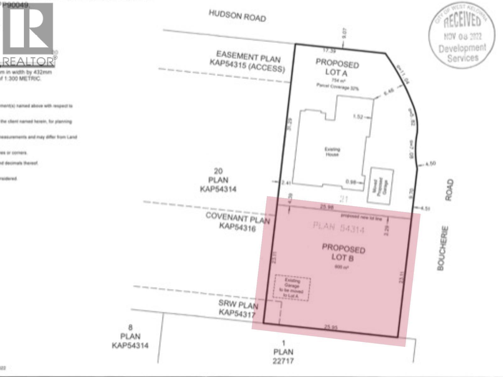
2640 Boucherie Road

FULLY SERVICED LOT in West Kelowna's Wine Belt, Lakeview Heights. The subdivision awaits final registration. Services connect and deliver capacity for up to 4 units. West Kelowna adopted new BC regulations. R1 zoning now permits duplexes with secondary suites. The lot's wide frontage supports straightforward construction with 50% site coverage and 3-story height allowance.Build a duplex. Construct a single-family home with suites. Design your vision from scratch. Mission Hill Winery sits nearby. Grizzli Winery stands nearly next door. Quails' Gate Winery lies minutes away. Wine trails wind through the neighbourhood. Schools, shopping, and Okanagan beaches complete the location. Downtown Kelowna sits just minutes down the road. No builder restrictions tie your hands. No construction deadlines pressure your timeline. Flexible building guidelines let you create at your own pace. The Lakeview Heights location blends lifestyle appeal with strong future value. This wine corridor address attracts buyers and renters alike. The seller wants this gone. (id:58842)

Property Information

Property Type
Commercial
SqUARE FOOTAGE
0
 sqft
Structure Type
Other
LAND SIZE
0.15 acres
Roof Type
Lot
Level lot, Corner Site, Irregular lot size
SEWER Type
Municipal sewage system
Parking Spots
0
stories
Floor Type

More Information

Security
View
View (panoramic)
Parking
Exterior
Community
Common inTEREST
Freehold
Listing Key
29225805
MLS ID
10372130
listing Office
Royal LePage Kelowna
listing Office key
47833
0
Beds
0
Baths
$
399900

Virtual Tour

Map

Map

can help you buy this property.

Thank you! Your submission has been received!
Oops! Something went wrong while submitting the form.

Nehemiah Daehn

can help you buy this property.

Thank you! Your submission has been received!
Oops! Something went wrong while submitting the form.